Till innehåll på sidan
Till KTH:s startsida

Erasmus Digital Learning Agreement step-by-step

If you are going on exchange studies within Europe, you should complete a Digital Learning Agreement in Mobility Online. On this page, you will find step-by-step-guide on how to till fill out your Digital Learning Agreement.

EU logo

Financing on this page are funded by the European Union.

This information applies to students going on exchange within Europe, except Switzerland.

To receive your Erasmus scholarship, your Digital Learning Agreement (DLA) must have been signed by three parties, and the Grant Agreement must be fully completed and uploaded to Mobility Online. Please note that all documents uploaded to Mobility Online should be saved as PDF files.

Step-by-step Erasmus Digital Learning Agreement

Step 1: Signed Grant Agreement uploaded

Upload your signed Grant Agreement.

Your international coordinator will add your Administrative contact person to the DLA and notify you when you can continue.

Step 2: Enter courses at the home institution

Click the underlined sentence Enter courses at the home institution to begin. You will now enter your KTH courses.

Step 2

Press Enter further courses. 

Step 2

Add your courses as one block. Choose N/A as the course code and Exchange Load as the course title. In Number of credits at the home institution, you should enter the full amount of credits the block represents.

Press the Create button down on the page.

Step 2

To edit a course or block you already have created, you click on the pencil next to the name of the course.

When you finish, press the button Back, down to the left in the view.

Step 2

Step 3: Enter courses at the host institution

You will now enter the courses you intend to take at your receiving university. Click the underlined sentence Enter courses at the host institution.

Step 3

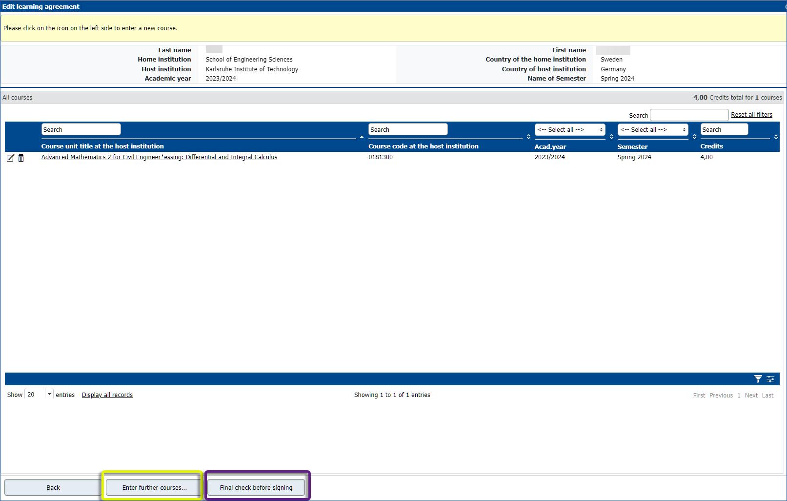
Press Enter further courses.

Fill in the course code if there is one, title and credits. Be as accurate as you can when filling in the code, title and credits for the courses you intend to take at your host university. Add one course at a time.

Press Create button, down on the page.

Step 3

To add one more course or block, press Enter further courses.

To edit a course or block you already have created, you click on the pencil next to the name of the course.

To go back to your application you press the button Back, down to the left in the view.

When you are finished with adding both your courses at KTH and your host institution, press the button Final check before signing.

step 3

Step 4: Sign and Transfer

Look through and sign the DLA. Your International coordinator will now take over. They will either sign the DLA and forward it to your host university for their signature or make a note and send it back to you for correction.

step 4

 When you, your international coordinator and the receiving university have signed is it stated in your application.

step 4

If the DLA is rejected

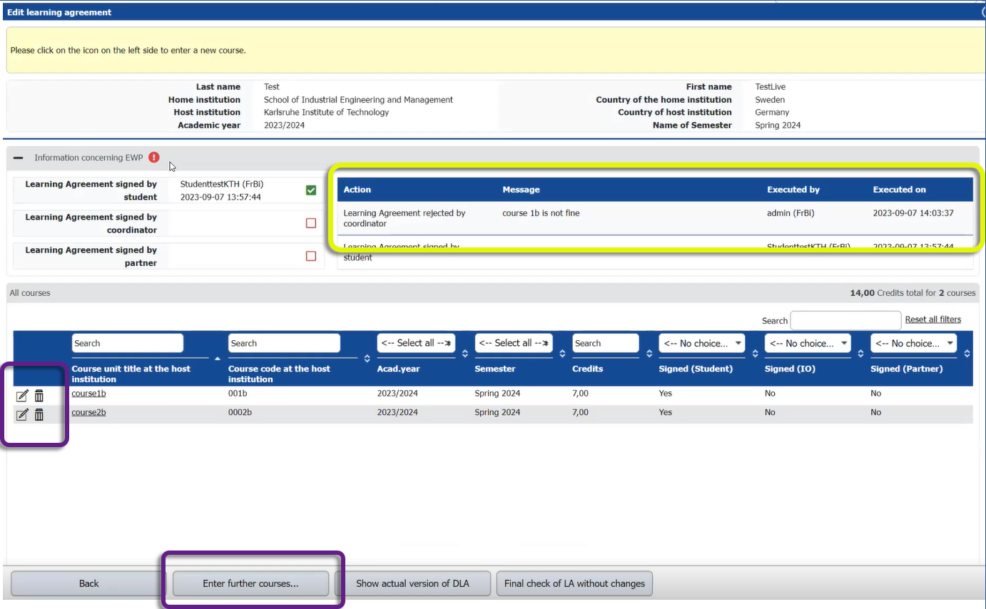
If rejected by KTH

In the event that your International coordinator finds any inaccuracies in your DLA, a note will made in the system and the DLA will be sent back to you for revision. You will be notified by an email if this happens.

Revise your DLA according to the instructions given and sign it once again. Once corrected, the international coordinator will sign it and forward it to the university.

If your International coordinator has rejected your DLA is it stated in your application.

Click the underlined sentence Enter courses at the home institution.

Rejected by KTH

A message about what’s inaccurate as written.

To edit or delete a course click on either the symbol with a pen (for edit) or the trash can to delete it.

If you need to add a course press Enter further courses.

Rejected by KTH

Press Final check.

REJECTED BY KTH

Look through and sign the DLA by pressing Sign and Transfer.

Rejected by KTH

You have to confirm by clicking on the underlined sentence Click to confirm.

Rejected by KTH

To be able to edit, press Forward to update.

Tick the box and press Update.

Rejected by KTH
Rejected by KTH

Your International coordinator will now take over. They will either sign the DLA and forward it to your host university for their signature or make a note and send it back to you for correction.

If rejected by the host university

If the contact person at the host university finds something inaccurate in your application, it will make a note and send it back, rejected, to you. You will be notified by email if this happens.

Make the command changes and sign it once again. Your International coordinator will now take over. They will either sign the DLA and forward it to your host university for their signature or make a note and send it back to you for correction.

If your receiving university has rejected your DLA, it will be stated in your application.

Rejected by host university

A message about what’s inaccurate as written.

To edit or delete a course click on either the symbol with a pen (for edit) or the trash can to delete it.

If you need to add a course press Enter further courses.

Rejected by host university

Make your changes and press Update.

Rejected by host university

Press Final check.

Rejected by host university

Look through and sign the DLA by pressing Sign and Transfer.

Rejected by host university

You have to confirm by clicking on the underlined sentence Click to confirm.

Rejected by host university

To be able to edit, press Forward to update.

Tick the box and press Update.

rejected by host university

Your International coordinator will now take over. They will either sign the DLA and forward it to your host university for their signature or make a note and send it back to you for correction.